
Peter Dykstra: The many faces of Florence
The list of risks from major storms expands.
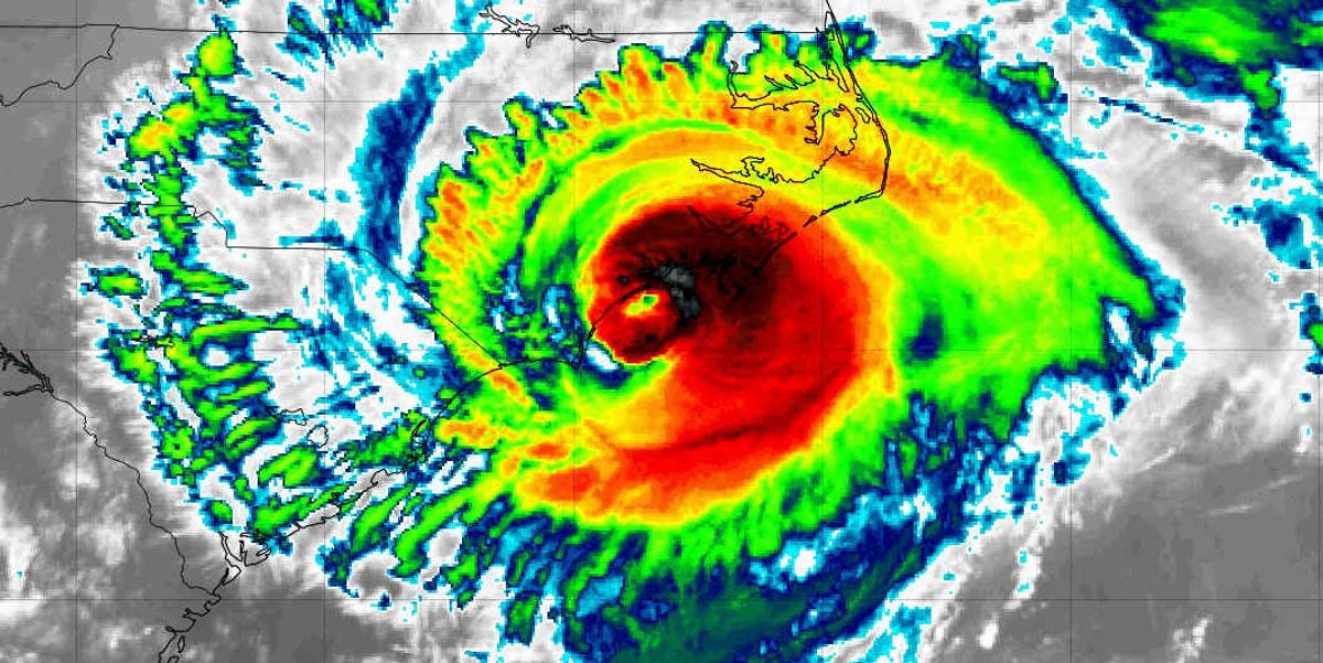
As Hurricane Florence continues its wet, windy rampage, here's my attempt to gather some of the stray baggage that hurricanes leave us.
Bolstered projections—and populations

Myrtle Beach, SC. (Credit: Gerry Dincher/flickr)
In October 1954, Hurricane Hazel tore through the Caribbean and the Bahamas, killing as many as 1,000, mostly in Haiti. Hazel hit the Carolina coast, flattening beachfront structures from Myrtle Beach, South Carolina, north to the Outer Banks. The storm turned inland, with flooding rains contributing to 95 more deaths in the U.S. Remnants of the storm killed 81 more in the Toronto area, making Hazel a billion-dollar storm in Canada alone (in 2018 dollars.)
Two important differences separate a 1954 killer storm from a killer storm today: First, weather prediction and risk communication were still relatively primitive back then. Today the lifesaving role of both government and TV meteorologists has been key in keeping death tolls low.
But with climate change increasing the frequency and intensity of storms, even those lower death tolls are a hollow victory.
Also, sleepy coastal towns like Myrtle Beach are sleepy no more. The city has grown tenfold since 1950, when there were 3,000 year-round residents. Many hurricane-vulnerable beach towns along the Atlantic and Gulf coasts can tell the same story – real estate booms creating far more potentially destroyable property.
All those extra people packed into hurricane targets like Myrtle Beach, or the state of Florida (2.8 million in 1950, 21 million today) turn evacuations into logistical nightmares and political timebombs.
In 2005, with America still stunned by the horrific drama of Hurricane Katrina, Houston staged one of the largest and most ill-fated evacuations in history. An estimated 2.5 million people clogged the roads out of town from metro Houston to escape a likely direct hit from Hurricane Rita.
There were road rage fistfights, heat stroke, and families marooned in gridlock for 24 hours. Fire consumed a bus full of senior citizens stuck on the interstate, killing 24.
Rita only grazed Houston, and the storm's direct death toll was less than half that of the flaming bus. The press and public tore into public safety officials and city leaders for the tragically counterproductive decision.
Twelve years later, Houston area leaders opted not to evacuate from Hurricane Harvey, and took grief for their decision once again.
Florence fear

SC National Guard
The earliest, most dire reports of Florence's potential damage prompted Maryland's governor to join his counterparts farther south in proclaiming a state of emergency. The prophylactic emergency declarations are equal parts butt-covering and pragmatic politics. They offer some insulation against charges that leaders were unprepared, but more reasonably, they grease the skids for federal disaster aid if it's needed.
But even if Maryland dodges major damage, severe storms have a special impact in Chesapeake Bay, where doomed islands and their centuries-old cultures are yielding to a combination of land subsidence, erosion, and sea level rise. Hurricanes like Isabel in 2003 brought storm surge roaring up the Bay, accelerating the eventual disappearance of Smith Island and Virginia's Tangier Island.
Hurricanes cause erosion along coastlines from Cape Cod to Texas.
On Thursday, Duke Energy executive David Fountain told CNN that the major utility in the Carolinas expected to see 75 percent of its customer base lose power from Florence. 2017's Hurricane Irma knocked out electricity for two-thirds of Florida's 10 million households.
Duke and other utilities own and maintain (or not) roughly six dozen coal ash impoundments in the vast area that is forecast to see days of deluge from Florence. Nuclear plants, like Duke's Brunswick station near Wilmington, have shut down. EPA says it's monitoring nine Superfund sites in the storm's path. Forecasts of rainfall measured not in inches but in feet could also overwhelm sewage treatment plants.
Hogs are one of North Carolina's leading cash cows and the forecast for extended rainfall is causing panic among farmers and their neighbors. In the 1990's, two events helped bring attention to the growing risks of hog waste pollution in North Carolina. First, the Raleigh News & Observer won a Pulitzer Prize for its series "Boss Hog" on porcine power and pollution in the state. In 1999, Hurricane Floyd's relentless rainfall prompted spills from dozens of hog waste lagoons. Since then, the industry, and even the hogs themselves, have grown considerably.
EHN's 2017 series "Peak Pig" focused on the industry's continued problems.
And Florence may bring the pigs home to roost.













